« Go slow »
Levés de bonne heure à Flores pour attraper le bus de 8h, le premier vrai car de ces vacances, le trajet se passe sans encombres jusqu’au la frontière du Belize.
Le Belize ? Anciennement Honduras Britannique et également considéré comme paradis fiscal, sa capitale est, est, est ??? Le premier qui répond juste dans les commentaires gagne un coquillage dédicacé. Le pays est surtout connu car il se situe le long de la deuxième plus grande barrière de corail au monde (après celle de l’Australie), mais il recèle également des sites Maya et une belle surface de forêt tropicale.
Le passage de la frontière nous prend 5 minutes côté Guatemala et 1h30 côté Belize, avec un guichet et demi ouvert et un soleil bien vertical sur nos têtes… Apres avoir ajouté encore deux tampons car ils avaient leurs règles dans nos passeports, nous retrouvons le car et filons à Belize City où nous trouvons un bateau pour nous rendre sur Caye Caulker (prononcez « kikocoeur »), notre pied à terre pour les prochains jours.


Caye Caulker n’est qu’une étroite bande de corail (300m à 1 km de large sur 8 km de long pour une hauteur maximale à 2.4m) sur la barrière de corail de la mer des Caraïbes. Ici, pas de voitures, les routes sont en sable et les seuls véhicules sont des petits karts de golf. Ici la devise est « go slow » et on ne manquera pas de vous le faire remarquer si vous marchez un peu vite. L’ambiance n’a rien à voir avec le Guatemala, on parle anglais, on peut théoriquement boire l’eau au robinet et la population est fortement métissée. L’ambiance est décontractée entre bars et guesthouses, résidences plus chères et petits magasins. L’endroit est clairement touristique mais avec tous les avantages que nous recherchons pour nos 5 jours de « plage »: confort, propreté, mer, soleil…



Nous nous rendons à notre appartement, un joli 2,5 pièces, avec cuisine équipée, hamac sur le balcon et vue sur la mer. Il y a pire!!

Le fond de l’air est tiède mais le vent souffle, donc clairement le temps n’est pas aux mini shorts (merci la tempête polaire au nord des USA) par contre le soleil brille de mille feux et l’eau turquoise est à 24 degrés quand même.

Nous partons à la découverte des lieux et ne tardons pas à arriver au « Split » l’endroît où un ouragan a coupé l’île en deux en 1961. Actuellement des renforts en béton contiennent le sable et des aménagements pour se baigner ainsi qu’un bar. Il est déjà l’heure du coucher du soleil et après avoir regardé les prix au Lazy Lizard qui ne sont plus du tout les mêmes que ceux du Guatemala, nous nous décidons d’acheter nos rafraîchissement au magasin pour les boire tranquillou sur un ponton.

Les activités principales, à part sieste et apéro, sont le snorkelling et la plongée, ce qui tombe plutôt bien car nous adorons ça ! Le lendemain, nous partons pour une excursion snorkelling, en ayant fait le choix d’un tour qui se dit respectueux de l’environnement. Pas de feeding d’animaux, petits groupes, eau dans gobelets plutôt qu’en bouteilles et explications concernant la sauvegarde du reef.

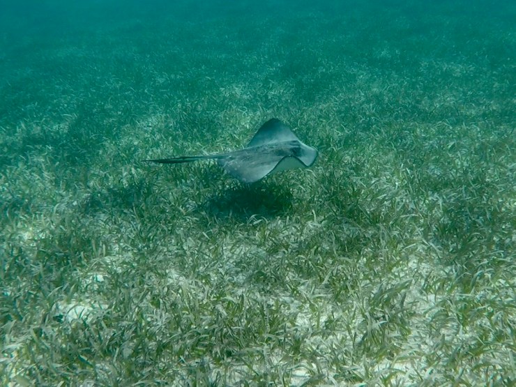
Nous sommes donc cinq, un couple d’américains, un mexicain et nous en route pour la réserve marine de Hol Chan, le premier stop. Premier stop qui nous en mets plein la vue avec des coraux encore jamais vus, une faune abondante dont des raies pastenangues et une raie léopard, des murènes et des myriades de poissons multicolores. Nous sommes enchantés et lorsque nous arrivons au deuxième stop, nous sautons dans l’eau pour nager avec les raies pastenangues et les requins nourrice. Là, nous remarquons que le feeding est pratique courante, lorsque nous jeton l’ancre les animaux arrivent tout de suite autour de nous puis voyant que nous n’avons rien à leur donner, repartent plus loin.





Nous continuons et arrivons au-dessus d’une épave, un bref stop pour voir si il se cache quelque chose parmi les trous mais seuls les mérous nous regardent un peu de travers.

Ensuite nous nous arrêtons encore sur une portion de récif, cette partie est protégée depuis moins longtemps et cela se voit, les coraux sont abîmés et le poisson est plus rare. Bien sûr cela reste très beau mais on voit très bien l’importance de la conservation et de la protection de ce patrimoine marin.

Satisfaits de notre excursion, nous nous posons dans un bar qui propose tables, chambres à air, hamacs et même balançoires (!) dans l’eau pour déguster son cocktail ou/et sa bière. Le souper sera excellent, avec un homard grillé devant nous dans un petit restaurant décontracté. Il est finalement temps d’aller au lit, car le réveil se fera très tôt le matin suivant : grande sortie en vue !


2 Pingbacks